Обяви За нас Контакти
Продава ПАРЦЕЛ
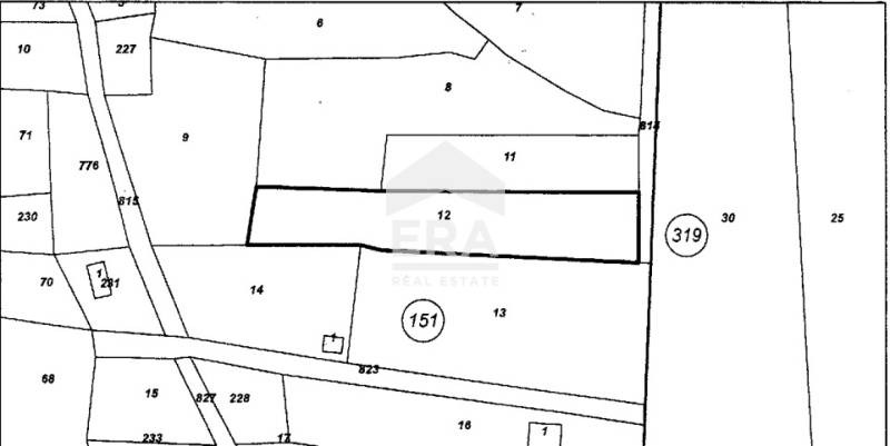
град Търговище, Вилна зона
17 895.22 €
35 000 лв.

(20.45 €, 40 лв./m2)
Цената е с включено ДДС
История на цената
Коригирана в 11:24 на 12 февруари, 2026 год.
Обявата е посетена 720 пъти.
Площ:
870 m2

Описание на имота:


ЕКСКЛУЗИВНО! ЕРА ИмотиТе предлага за продажба парцел във вилна зона Чокя, гр. Търговище.

Парцелът е с площ 870 кв.м., разположен в тиха и спокойна вилна зона, в непосредствена близост до гр. Търговище.

Имотът е подходящ за изграждане на вила или къща за целогодишно или сезонно ползване, както и за място за почивка и отдих сред природа и чист въздух.

Предимства на имота: правилна форма, целогодишен достъп, 9-метров кладенец, спокойна и зелена среда, близост до града.

Вилна зона Чокя е предпочитано място за живеене и отдих, с удобна локация, чист въздух и зеленина.

ЕРА България е регистриран кредитен посредник към БНБ и предоставя безплатна консултация и съдействие за най-добри условия при финансиране на избрания от Вас имот.

Огледи се извършват само с предварителна заявка.

Оферта 5201312
За контакт:
0888199245
Агенция:
ЕРА ИМОТИТЕ
0888199245
ЕРА ИМОТИТЕ logo
Медал за прослужено време
В imot.bg от 2022 г.
eraimotite.imot.bg
Адрес:
област Търговище, гр. Търговище, Климент Охридски 19
ИЗПРАТИ ЗАПИТВАНЕ
ИЗПРАТИ ЗАПИТВАНЕТО

Продава ПАРЦЕЛ
град Търговище, Вилна зона
Обява: 1r175871280158211

17 895.22 €
35 000 лв.
История на цената
(20.45 €, 40 лв./m2)

Цената е с включено ДДС
ЗАПАЗИ ОБЯВАТА

Местоположение: град Търговище, Вилна зона

Допълнителни данни за имотите в района и сравнение с други райони

Покажи

Период

и 2 месеца

* Средните цени са определени чрез медианна стойност